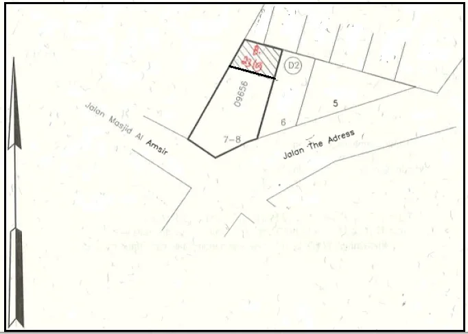
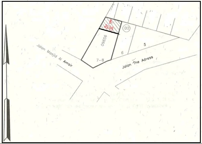
Tanah kavling siap bangun, lokasi strategis dalam perumahan di jalan utama / boulevard, hook, dekat masjid, swimming pool, lap tenis, dekat ke trans studio, pintu tol Cibubur, Cimanggis, Jatikarya (Jorr II), dekat ke fasilitas umum RS, Mall, Pasar, Kampus, pertokoan, stasiun LRT Harjamukti, dijual dibawah NJOP,
BerandaPropertitanahDijualJawa BaratDepokTaposDijual Tanah Lokasi Strategis jl alternatif Trans Yogi Tapos Cibubur Depok
tanah
Diperbarui 12 Februari 2026
Dijual Tanah Lokasi Strategis jl alternatif Trans Yogi Tapos Cibubur Depok
Perumahan D Address, Leuwinanggung Tapos Depok
Harga
Rp 4,8 Juta/m2
Harga Jual
Spesifikasi
Jenis Propertitanah
Luas Tanah144 m²
SertifikatSHGB
Informasi Properti
Pembayaran
Kondisi Tanah
Deskripsi
Adakah masalah dengan properti ini?
Tambah ke Perbandingan
Disclaimer
Pastikan memeriksa properti dan kelengkapan dokumen sebelum melakukan transaksi. Segala jenis transaksi di luar tanggung jawab RumahQu.
Tanyakan Properti Ini



